Ir al contenido
  • Noticias
  • Opinión
  • Podcast
  • Columnistas
  • Sin comentarios
  • Empleos
  • Noticias
  • Opinión
  • Podcast
  • Columnistas
  • Sin comentarios
  • Empleos
En vivo
En vivo
  • Noticias
  • Opinión
  • Podcast
  • Columnistas
  • Sin comentarios
  • Empleos
  • Noticias
  • Opinión
  • Podcast
  • Columnistas
  • Sin comentarios
  • Empleos

Internacionales

Internacionales
Andrea Sierra Cadavid

Israel reanuda cese al fuego en sur de Gaza tras ataque mortal

Ver.
29 de octubre de 2025
Internacionales
Andrea Sierra Cadavid

Trump busca “gran reunión” con Xi en Corea del Sur

Ver.
29 de octubre de 2025
Internacionales
Andrea Sierra Cadavid

“Zona catastrófica” Así declaró a Jamaica su Primer ministro

Ver.
29 de octubre de 2025
Internacionales
Andrea Sierra Cadavid

Letal operativo policial en Río de Janeiro deja más de 100 muertos

Ver.
29 de octubre de 2025
Internacionales
Andrea Sierra Cadavid

Trump amenaza “ir por tierra” tras bombardeos narco-lanchas

Ver.
29 de octubre de 2025
Internacionales
Andrea Sierra Cadavid

Trump amenaza “ir por tierra” tras bombardeos narco-lanchas

Ver.
29 de octubre de 2025
Internacionales
Daniela Posada

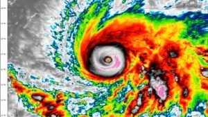
Huracán Melissa se debilita a categoría 4 pero mantiene su fuerza devastadora sobre Jamaica

Ver.
28 de octubre de 2025
Internacionales
Daniela Posada

Caos en Río de Janeiro: operativo antinarco deja más de 60 muertos y paraliza el transporte público

Ver.
28 de octubre de 2025
Internacionales
Daniela Posada

El museo del 9/11 revive la historia del Hangar 17, donde se conservaron los recuerdos del World Trade Center

Ver.
28 de octubre de 2025
Internacionales
Yadir Franco

Capturan en Argentina a dos colombianos buscados por la Interpol, señalados de lavar dinero para el ELN

Ver.
28 de octubre de 2025
Página1 Página2 Página3 Página4 Página5

Nos Cogió La Noche

Categorías

  • Antioquia
  • Ciencia
  • Colombia
  • Columnistas
  • Deportes
  • Política
  • Internacionales
  • Movilidad

Etiquetas populares

Antioquia4199 Ciencia275 Colombia6020 Columnistas58 Cultura397 Deportes2961
Contáctanos

Aviso de privacidad

Términos y Condiciones

Política de Tratamiento de Datos

Categorías

Etiquetas populares

  • Antioquia
  • Ciencia
  • Colombia
  • Columnistas
  • Deportes
  • Política
  • Internacionales
  • Movilidad
Antioquia4199 Ciencia275 Colombia6020 Columnistas58 Cultura397 Deportes2961
Contáctanos

Aviso de privacidad

Términos y Condiciones

Política de Tratamiento de Datos

Facebook Youtube Instagram

© Producciones Cosmovision, 2025. Todos los derechos reservados.

Desarrollado por juanpatinho.com