📸 Cortesía: UHN PLUS
¿La tormenta imparable?
La isla se prepara para lo inevitable.
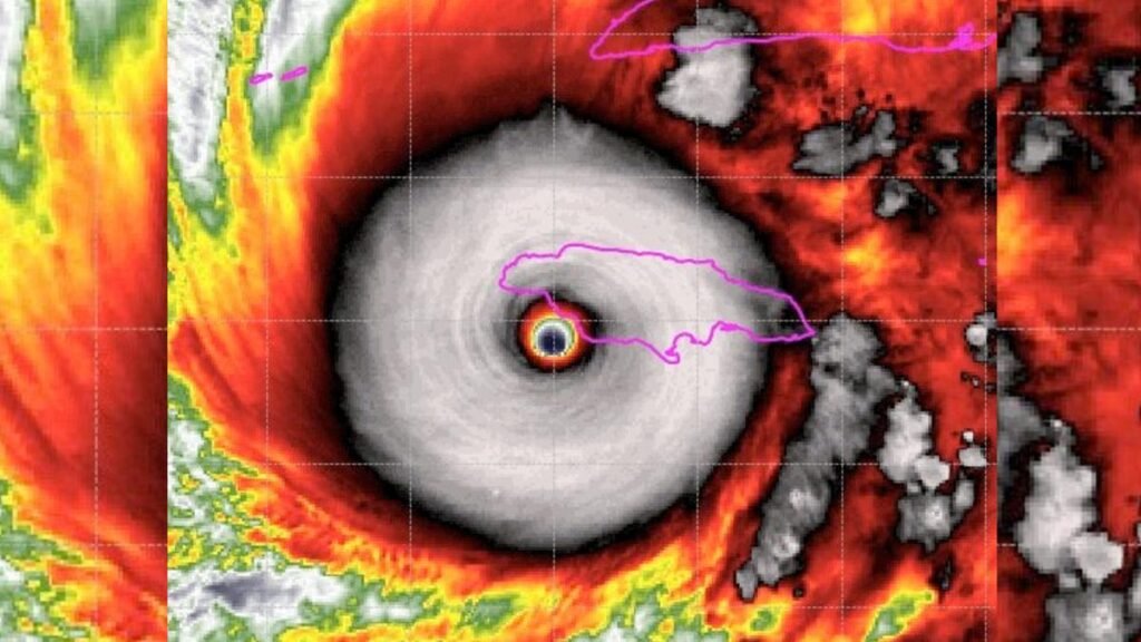
Kingston, 28 de octubre de 2025. El huracán Melissa, con ferocidad sin precedentes, azotó Jamaica como categoría 5, dejando tras de sí vientos sostenidos de hasta 295 kilómetros por hora, lluvias torrenciales y un paisaje marcado por árboles caídos e infraestructura dañada.
Desde temprano ese martes, el Gobierno jamaiquino, a través del Ministerio de Salud, activó una red de protocolos de emergencia y evacuación sin precedentes. Más de 880 refugios temporales fueron habilitados para acoger a quienes debieron abandonar hogares amenazados por la fuerza de la tormenta. La priorización de las vidas humanas motivó el traslado urgente de pacientes desde hospitales costeros en zonas de alto riesgo, como Hanover, Saint Elizabeth y Falmouth, donde la capacidad médica se reajustó con altas anticipadas y movilización de personal y suministros básicos.
Este episodio ha sido calificado por el primer ministro Andrew Holness como “la peor tormenta del siglo” para Jamaica. «No existe infraestructura en la región que pueda resistir un huracán de esta magnitud», advirtió desde Kingston, mientras ordenaba la evacuación obligatoria de áreas vulnerables del sur y ciudades costeras como Port Royal. Para facilitar este movimiento, escuelas y peajes abrieron sus puertas, utilizando autobuses escolares y eliminando barreras económicas a la movilidad.
Melissa tocó tierra en la madrugada, trayendo consigo una marejada ciclónica que podría elevarse hasta cuatro metros y lluvias acumuladas de hasta 750 milímetros. El agua ha exacerbado el riesgo de inundaciones y deslizamientos, multiplicando la vulnerabilidad de comunidades enteras. Hasta ahora, las autoridades confirman al menos tres fallecimientos, ocurridos durante labores de preparación, como la tala de árboles, una advertencia sobre el peligro latente incluso antes del impacto directo.
Mientras la tormenta sigue su curso y la isla enfrenta el desafío de reconstruir, la incertidumbre persiste. ¿Será suficiente la respuesta institucional para proteger a una población aterrorizada ante la furia de la naturaleza? La sombra de Melissa se cierne, recordando a Jamaica que, tras el desastre, la reconstrucción comienza en medio del vacío y la incertidumbre. ¿Podrá el país levantar sus raíces una vez más?

